Jetzt zugreifen: Attraktives Baugrundstück in familienfreundlicher Lage in Oerlinghausen-Helpup

Lage: 33813 Oerlinghausen | Nordrhein-Westfalen
www.junkerundniehues.de
Baufläche
Am Ende einer Sackgasse

Beschreibung

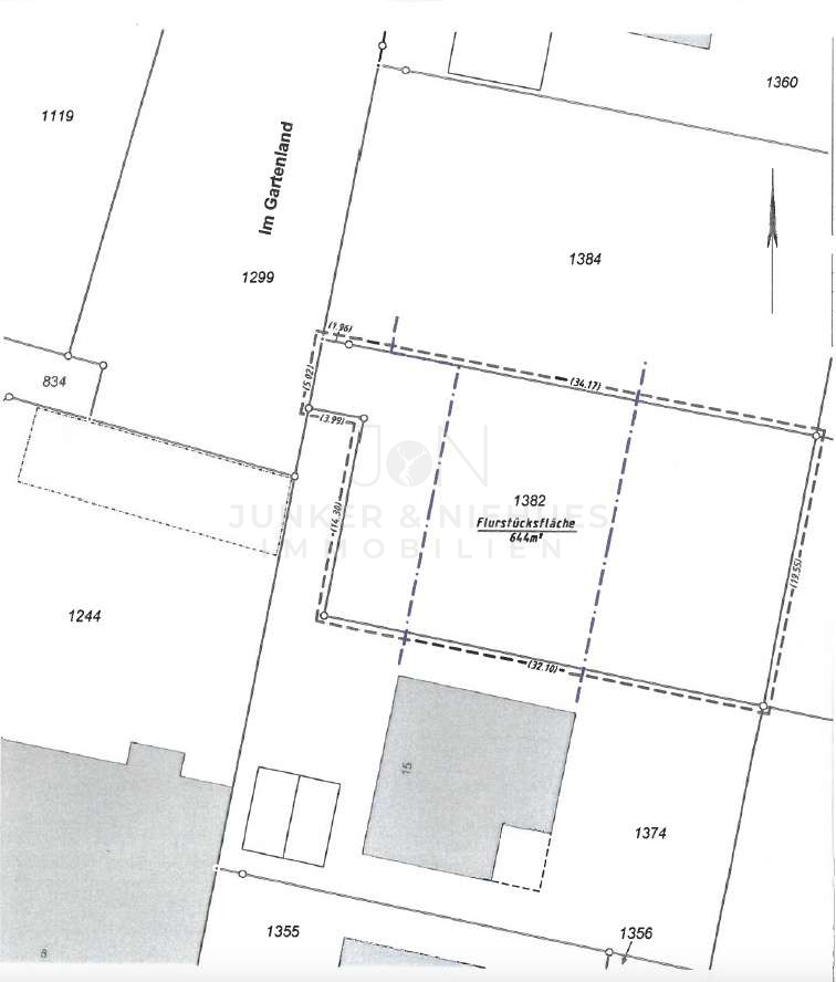
Zum Verkauf steht ein attraktives Baugrundstück in ruhiger und gewachsener Wohnlage von Oerlinghausen-Helpup. Mit einer Fläche von ca. 644 m² bietet es ideale Voraussetzungen für die Verwirklichung Ihres individuellen Bauvorhabens. Der Bebauungsplan lässt eine Grundflächenzahl (GRZ) von 0,4 sowie eine Geschossflächenzahl (GFZ) von 0,8 zu. Das Baufenster ermöglicht eine zweigeschossige und offene Bauweise. Vorgeschrieben ist ein Satteldach mit einer Dachneigung von 25 bis 40 Grad und einer maximalen Traufhöhe von 6,50 Metern. Damit eignet sich das Grundstück hervorragend für die Errichtung eines großzügigen Einfamilienhauses oder auch eines Doppelhauses, das sich harmonisch in die bestehende Nachbarschaft einfügt.

Das Grundstück ist aktuell noch nicht erschlossen. Die Kosten der notwendigen Erschließungsmaßnahmen sind aktuell noch unbekannt. Der Kaufpreis des Grundstücks wird um diese Erschließungskosten reduziert, sobald sie bekannt sind. Nach erfolgter Erschließung eröffnen sich Ihnen jedoch vielfältige Möglichkeiten, Ihr Traumhaus nach eigenen Vorstellungen zu gestalten und in einer angenehmen, ruhigen Wohngegend zu realisieren.

Dieses Grundstück stellt eine seltene Gelegenheit dar, sich in Oerlinghausen-Helpup ein eigenes Bauland zu sichern und eine langfristige Investition in die Zukunft zu tätigen. Kontaktieren Sie uns für weitere Informationen oder vereinbaren Sie noch heute einen Besichtigungstermin. Wir freuen uns auf Sie!

Lage und Verkehrsanbindung

Das Baugrundstück befindet sich in der ruhigen und familienfreundlichen Wohnlage im Ortsteil Helpup von Oerlinghausen. Die Umgebung ist geprägt von Ein- und Zweifamilienhäusern, Gärten und einer naturnahen Wohnatmosphäre, die sowohl Ruhe als auch Privatsphäre bietet.

Die Lage überzeugt durch ihre hervorragende Anbindung an die Infrastruktur: Einkaufsmöglichkeiten für den täglichen Bedarf, Apotheken, Ärzte sowie Kindergärten und Schulen sind schnell erreichbar. Die Nähe zur Bundesstraße B66 sowie zu den Autobahnen A2 und A33 ermöglicht eine sehr gute Erreichbarkeit von Bielefeld, Detmold, Lage und weiteren Städten in der Region. Auch öffentliche Verkehrsmittel sind fußläufig erreichbar, sodass eine flexible Mobilität ohne Auto möglich ist.

Besonders praktisch ist der fußläufig erreichbare Bahnhof Oerlinghausen-Helpup. Von hier verkehrt die Regionalbahn-Linie RB 72 „Der Lipperländer“.

- Nach Bielefeld Hauptbahnhof gelangen Sie in ca. 20 Minuten.
- Nach Detmold beträgt die Fahrzeit etwa 15 Minuten.
- Nach Lemgo sind es rund 30 Minuten.

Für Freizeitaktivitäten bietet die Umgebung von Helpup viele Möglichkeiten. Die naturnahe Lage am Rande des Teutoburger Waldes lädt zu Spaziergängen, Wanderungen, Fahrradtouren und weiteren Outdoor-Aktivitäten ein. Darüber hinaus steht Ihnen in Helpup ein modernes Hallenbad zur Verfügung, das Schwimm- und Freizeitspaß für Jung und Alt bietet. Gleichzeitig profitieren Sie von der guten Erreichbarkeit städtischer Angebote und Einrichtungen, sodass sich hier ideal Ruhe, Natur und praktische Infrastruktur verbinden.

Insgesamt besticht das Grundstück durch eine ruhige, grüne Lage in einem gewachsenen Wohnumfeld und bietet gleichzeitig eine sehr gute Anbindung an das regionale Straßen- und Autobahnnetz – ideal für Pendler und Naturliebhaber gleichermaßen.

Grundrisse

Plan 0

Fakten

Objektnummer:
J&N-22767
Objekttyp:
Grundstück
Grundstücksfläche:
644 m²
Verfügbarkeit:
Verfügbar

Preisdetails

Kaufpreis:
218.960,00 €
Vermittlungsprovision:
Ja
Provision:
3,57 % inkl. MwSt. %

Ansprechpartner

Paul  Niehues

Paul Niehues

Geschäftsführer

Wohntraum-Finder

Nicht ganz die richtige Immobilie? Probieren Sie unseren Wohntraum-Finder!

Anfrage
Max. 500 Zeichen
Ich habe die Datenschutzvereinbarung gelesen und verstanden, und ich stimme der Verarbeitung meiner persönlichen Daten wie darin beschrieben zu. *